País

Furacão “Lorenzo” deverá passar com categoria 1 nos Açores

None

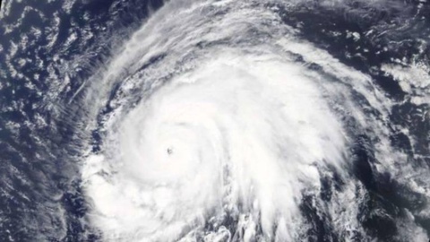
O furacão “Lorenzo”, atualmente na categoria 2 da escala Saffir-Simpson, “deverá passar com categoria 1” a oeste da ilha das Flores, na quarta-feira, mantendo-se a previsão de que afetará todo o arquipélago dos Açores, avança o IPMA.

Segundo o comunicado emitido na noite de segunda-feira pelo Instituto Português do Mar e da Atmosfera (IPMA), o centro do furacão, que às 18:00 de segunda-feira (mais uma hora em Lisboa) se encontrava “a aproximadamente 1.650 quilómetros a oeste/sudoeste dos Açores, deslocando-se para norte/nordeste a uma velocidade de 24 quilómetros por hora”, deverá “passar com categoria 1, na quarta-feira (dia 02 de outubro), ligeiramente a oeste das Flores”.

A escala de Saffir-Simpson mede a intensidade dos furacões entre os níveis 1 e 5, sendo 5 o nível mais intenso.

Os seus efeitos deverão ser sentidos em todo o arquipélago, mas com maior intensidade no grupo Ocidental, que compreende as ilhas das Flores e do Corvo.

O IPMA prevê, para o grupo Ocidental, “vento sueste rodando para noroeste com rajadas na ordem dos 190 quilómetros por hora (com uma probabilidade de 40% de a rajada máxima ser superior a 200 quilómetros por hora), chuva por vezes forte e ondas de sul, passando a sudoeste com altura significativa entre 10 a 15 metros, podendo a altura máxima de onda atingir os 25 metros”.

Para este grupo, vigora aviso amarelo a partir das 18:00 (mais uma hora em Lisboa) de terça-feira, que passa a laranja às 21:00, tendo sido emitido aviso vermelho entre as 00:00 e as 12:00 de quarta-feira, referente a vento e agitação marítima.

No grupo Central, prevê-se “vento sudoeste com rajadas até 150 quilómetros por hora e ondas de sudoeste, passando a oeste, com altura significativa entre nove a 12 metros, podendo a altura máxima de onda atingir os 22 metros”.

As ilhas do Faial, Pico, São Jorge, Terceira e Graciosa, deste grupo, estão sob aviso amarelo a partir das 21:00 de terça-feira, passando a laranja a partir das 00:00 de quarta-feira, e a vermelho entre as 03:00 e as 12:00, devido ao vento, e entre as 06:00 e as 15:00, por causa da agitação marítima.

Já para o grupo Oriental (São Miguel e Santa Maria) a previsão é de vento com rajadas da ordem dos 85 quilómetros por hora, com ondulação de oeste, que poderá atingir sete a oito metros. Para estas ilhas, foi emitido aviso amarelo a partir das 09:00 de quarta-feira, que passa a laranja entre as 12:00 e as 18:00, devido à forte ondulação.

O comunicado, assinado pela meteorologista Vanda Costa, ressalva que “existe ainda alguma incerteza relativamente à trajetória exata do furacão” e remete para as 10:00 de hoje uma atualização da informação.