Mundo

Balanço da passagem do tufão Rai nas Filipinas aumenta para quase 400 mortos

Foto: DR
Foto: DR

As autoridades das Filipinas atualizaram hoje para 397 mortos e 83 desaparecidos o balanço de vítimas do tufão Rai, que atingiu o país asiático há 15 dias, deixando um rasto de destruição.

A entidade nacional que verifica os dados das diferentes agências de socorro no terreno disse que a tempestade provocou também 1.147 feridos e 561.500 desalojados, noticiou a agência espanhola EFE.

Mais de metade dos desalojados encontram-se num dos 1.200 centros de acolhimento criados pelas autoridades, onde se receia que a sobrelotação possa levar a grandes surtos de covid-19.

O balanço anterior, divulgado na segunda-feira, era de 388 mortos, 1.146 feridos e cerca de 542.000 desalojados.

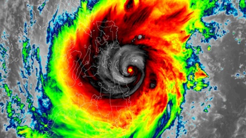
Considerado um supertufão, o Rai atingiu nove ilhas das Filipinas no dia 16 de dezembro, com rajadas de vento que atingiram 240 quilómetros por hora, e afetou mais de 4,2 milhões de pessoas, de acordo com números oficiais.

O tufão deixou um rasto de destruição e causou danos em habitações, infraestruturas e culturas agrícolas avaliados em 22 mil milhões de pesos filipinos (cerca de 386 milhões de euros).

O Governo filipino declarou o estado de calamidade em seis regiões afetadas pelo tufão, conhecido como Odette no país.

O Rai foi o 15.º tufão a atingir as Filipinas este ano, e chegou num momento delicado devido a receios sobre a nova variante Ómicron do coronavírus SARS-CoV-2, que provoca a covid-19.

Este tufão é particularmente tardio para a época, dado que a maioria das tempestades tropicais no Oceano Pacífico se formam entre julho e outubro.

Há já algum tempo que os cientistas alertam que os tufões se estão a tornar cada mais poderosos, à medida que aumenta o aquecimento global causado pelo homem.

As Filipinas são atingidas todos os anos por cerca de 20 tufões, que causam vítimas e danos em infraestruturas.

Em novembro de 2013, o supertufão Hayan, o mais devastador da história recente do país, causou mais de 7.300 mortos ou desaparecidos e deixou 200.000 famílias desalojadas nas ilhas de Samar e de Leyte.

As Filipinas são um dos países mais vulneráveis à crise climática devido a catástrofes naturais.

O país situa-se no chamado "Anel de Fogo do Pacífico", uma área onde se regista cerca de 90% da atividade sísmica e vulcânica do planeta.